Canada operator set to move floatel to safe haven if Hurricane Erin threatens

Floatel Endurance is working on Cenovus Energy's West White Rose project in Newfoundland

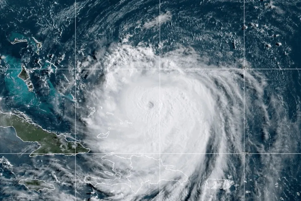
Hurricane Erin was located north of Hispaniola island on on Monday 18 August.
Hurricane Erin was located north of Hispaniola island on on Monday 18 August.Photo: NOAA/AP/SCANPIX
Published 18 August 2025, 16:26Updated 18 August 2025, 21:35
CanadaUSNewfoundland & LabradorCenovus EnergyWest White Rose